RIO
-2.8700
Russia has stepped up preparations for an all-out invasion of Ukraine but it is not clear if Moscow has decided to take such a step, US officials have said citing intelligence assessments.
Costa Ricans head to the polls Sunday with a crowded presidential field and no clear favorite for tackling growing economic concerns in one of Latin America's stablest democracies.
French far-right presidential candidate Eric Zemmour on Saturday used a meeting in the northern city of Lille to launch a tirade against welfare handouts.
Cuba on Saturday announced a new 10 percent tax on retail food sales, as the country endures economic woes marked by rampant inflation.
Hundreds of people marched Saturday in Brazil to demand justice for a young Congolese immigrant who was beaten to death in a bar on a Rio de Janeiro beach.
A group of European and Latin American countries on Saturday urged Venezuelan authorities and opposition leaders to resume their dialogue in Mexico aimed at resolving the country's political and economic crises.
A Ukrainian flag wrapped around her shoulders, pensioner Iryna Gayeva had a simple message as she demonstrated in second city Kharkiv on Saturday, just 40 kilometres from the Russian border.
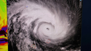
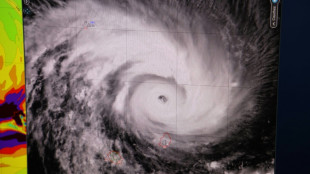
Cyclone Batsirai struck Madagascar's eastern region on Saturday with strong winds and heavy rain, the second storm to hit the island nation in just a few weeks, a senior meteorologist said.
French far-right presidential candidate Eric Zemmour on Saturday used a meeting in the northern city of Lille to launch a tirade against welfare handouts.
Powerful Cyclone Batsirai was closing in on eastern Madagascar Saturday as residents sought secure shelter or reinforced their roofs with sandbags after warnings that "widespread damage" was feared.
US steps on lifting sanctions are "good but not enough", Iran said on Saturday, following Washington's announcement it was waiving sanctions on Iran's civilian nuclear programme.
Vandals in central France damaged a sculpture of an Algerian military hero who resisted France's colonisation of the North African country, just hours before it was inaugurated Saturday, AFP journalists reported.
Palestinian prime minister Mohammed Shtayyeh on Saturday urged the African Union to withdraw Israel's accreditation, bringing simmering tensions to a head as the 55-member bloc opened a two-day summit in Addis Ababa.
Madagascar braced up for Cyclone Batsirai set to hit the eastern parts of the Indian Ocean island on Saturday, with powerful winds and torrential rains posing a "very serious threat" to millions.
Norwegian cross-country skier Therese Johaug won the first gold medal of the Beijing Olympics on Saturday as sport moved centre stage after a troubled build-up dominated by coronavirus and rights concerns.
Chinese President Xi Jinping hosted a banquet on Saturday for heads of state and international organisations attending the Winter Olympics, part of a diplomatic blitz following nearly two years without face-to-face meetings due to the pandemic.
Olaf Scholz makes his Washington debut as German chancellor on Monday, trying to dispel doubts over Berlin's resolve to stand up to Russia in the standoff over Ukraine.
Heads of state gathered Saturday at the African Union headquarters to kick off a two-day summit as the continent reels from a spate of military coups and the coronavirus pandemic.
Russia on Friday dismissed Colombian claims of "foreign interference" on the side of Venezuela as the South American neighbors quarrel over deadly fighting on their common border.
Providing mercenaries in Libya's internal conflict has become the main source of revenue for armed groups from Sudan's own war-torn Darfur region, the United Nations said in a report Friday.
An attack that killed at least 173 people including 13 US service members during the chaotic Kabul airport evacuation last year was undertaken by a single suicide bomber, a Pentagon investigation concluded Friday.
Machine gun fire echoed through the abandoned buildings of Pripyat in the Chernobyl Exclusion Zone, as Ukrainian National Guard troops on Friday staged urban combat exercises.
China's support for Russia in the standoff over Ukraine upends the strategic calculus for US President Joe Biden, who must now contend with a second front in a geopolitical fight whose ramifications could be felt worldwide.
The Venezuelan president's daughter was on the telephone when the first shells hit the official residence in Caracas 30 years ago in a coup attempt led by a then-unknown paratrooper, Hugo Chavez.
President Xi Jinping declared the Beijing Winter Olympics open Friday as China tried to turn the page on a build-up overshadowed by human rights concerns, Covid and a US-led diplomatic boycott.
US lawmakers were due to vote Friday on a multibillion-dollar bill aimed at jumpstarting high-tech research and manufacturing, countering China's growing influence and easing a global shortage of computer chips.
NATO's outgoing leader Jens Stoltenberg will leave the alliance late this year after a diplomatic battle to hold it together against outside threats and the clashing egos of its national leaders.
French President Emmanuel Macron will fly to Russia and Ukraine next week in an attempt to avert conflict between the neighbours, reprising his role as a crisis mediator that has produced limited results in the past.
Northern Ireland's High Court on Friday issued an interim order suspending a decision by Agriculture Minister Edwin Poots to stop post-Brexit checks on agri-food moving to and from mainland Britain.
European equities retreated from a positive start Friday as investors await key US jobs data after being spooked by a possible eurozone interest rate hike and the crash of Facebook owner Meta's shares.
Russia won China's backing in its showdown with the West over Ukraine on Friday, as Beijing agreed with Moscow that the US-led NATO military alliance should not admit new members.
The opening ceremony of the Beijing Winter Olympics began on Friday as China attempted to turn the page on a troubled build-up overshadowed by human rights concerns and Covid.